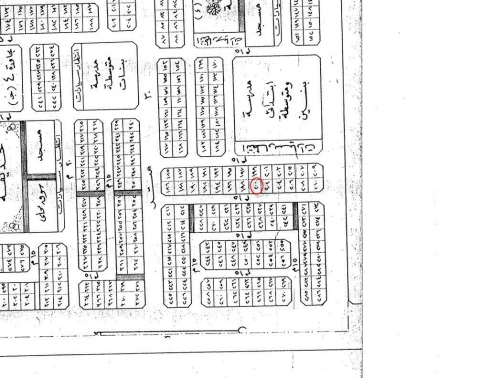
| نوع العقار | أرض للبيع |
|---|---|
| التصنيف | سكنية |
| الحي - المخطط | مدينة حرض |
| الحرف | د |
| رقم الأرض | 200 |
| شارع عرض | 15 |
| المساحة | 500م |
| السعر | السعر 100,000 |
| موقع العقار | https://maps.app.goo.gl/6rkBPSs8GjuGsMFq7?g_st=aw |
| ⇅ السعر | الوصف | اسم الحي | العقار |
|---|---|---|---|
|
السوم
|
المساحة
500م
شارع 20 |
مدينة حرض 225 / ب |
أرض
سكنية
للبيع
![]() اعلان 5316
2026/03/17
|
|
السوم
|
المساحة
500م
شارع 15 |
مدينة حرض 356 / ب |
أرض
سكنية
للبيع
![]() اعلان 5313
2026/03/16
|
|
1,000,000 |
المساحة
1,000,000م
شارع 50 + 50 + 6 |
مدينة حرض 7 |
أرض
ارض زراعية
للبيع
![]() اعلان 4943
2026/03/07
|
|
المتر
1 |
المساحة
1,000,000م
شارع 50+ 50 + 50 |
مدينة حرض |
أرض
ارض زراعية
للبيع
صك
![]() اعلان 5147
2026/02/04
|
|
2,000,000 |
المساحة
2,000,000م
شارع 50 + 50 + 50 + 50 |
مدينة حرض 3 |
أرض
ارض زراعية
للبيع
![]() اعلان 4851
2025/10/21
|
|
130,000 |
المساحة
625م
شارع 20 + 15 |
مدينة حرض 101 + 99 / د |
أرض
ارضين متجاورتين
للبيع
![]() اعلان 4846
2025/10/20
|
|
125,000 |
المساحة
500م
شارع 20 |
مدينة حرض 99 / د |
أرض
للبيع
![]() اعلان 4847
2025/10/20
|
|
135,000 |
المساحة
625م
شارع 15 + 20 |
مدينة حرض 101 |
أرض
للبيع
![]() اعلان 4579
2025/09/21
|
|
على السوم
|
المساحة
500م
شارع 20 |
مدينة حرض 99 / د |
أرض
للبيع
![]() اعلان 4580
2025/09/21
|
|
130,000 |
المساحة
500م
شارع 15 |
مدينة حرض 97 |
أرض
سكنية
للبيع
![]() اعلان 4265
2025/09/21
|
|
السعر
120,000 |
المساحة
400م
شارع 15 |
مدينة حرض 331 / ب |
أرض
سكنية
للبيع
![]() اعلان 4439
2025/09/21
|
|
95,000 |
المساحة
500م
شارع 15 |
مدينة حرض 214 / أ |
أرض
سكنية
للبيع
![]() اعلان 4607
2025/08/06
|
|
80,000 |
المساحة
400م
شارع 8 |
مدينة حرض 181 / ج |
أرض
سكنية
للبيع
![]() اعلان 4298
2025/04/19
|
|
90,000 |
المساحة
400م
شارع 15 |
مدينة حرض 222 / د |
أرض
سكنية
للبيع
![]() اعلان 4297
2025/04/19
|
|
3,500,000 |
المساحة
2,000,000م
شارع 50 * 50 |
مدينة حرض 1 |
أرض
ارض زراعية
للبيع
![]() اعلان 4254
2025/04/07
|
|
السعر
120,000 |
المساحة
400م
شارع 10 |
مدينة حرض 246 / ج |
أرض
للبيع
![]() اعلان 4194
2025/03/18
|
|
35,000,000 |
المساحة 2,000,000م |
مدينة حرض |
مزرعة
للبيع
صك
![]() اعلان 3702
2024/12/22
|
© 2026 - مكتب سيول هجر للعقارات www.seoulhajer.com
الأحساء, الهفوف, حي الملك فهد, هاتف:0564010960 - 0509961002