عبدالعزيز 0564010960 بومحمد 0509961002
محمد 0546020071

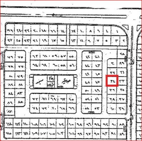
نص أرض سكنية للبيع في الضاحية الحي التاسع 34 ب


- إعلان 5268 - 2026/03/03 - 16

رابط مختصر للإعلان
https://seoulhajer.com/index.php/5268
نوع العقار نص أرض للبيع
التصنيف سكنية
الحي - المخطط الضاحية الحي التاسع
الحرف ب
رقم الأرض 34
شارع عرض 15
المساحة 375م
الحدود والاطوال 12.5 + 30
السعر 190,000

استشارة عقارية فورية

عبدالعزيز 0564010960


بومحمد 0509961002